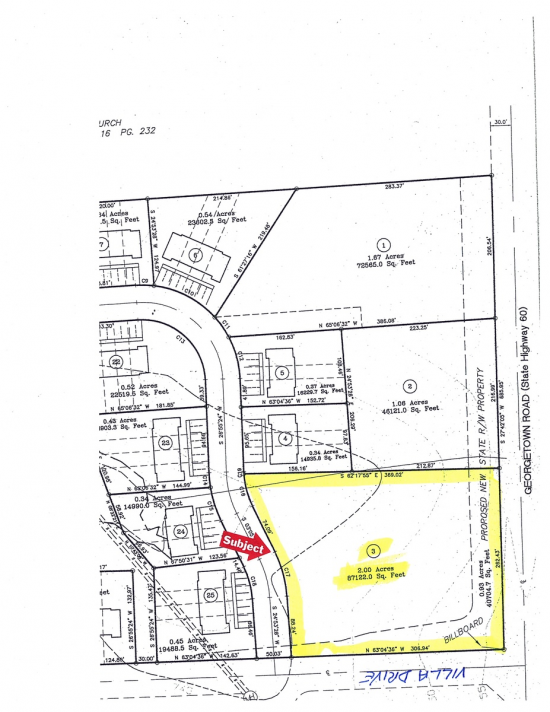
Land Available For Sale @ Lot 3 Georgetown Road

Lot 3 Georgetown Road, Cleveland, TN 37312

To view listing contacts please sign in with your Pro account or create a pro account.

Loye H.

Company: requires Pro account

Email: requires Pro account

Phone: requires Pro account



Choose nearby businesses to show on the map:

Yelp

Level site ready lot, al utilities in place. 300 yards south of Paul Huff Parkway at Georgetown Road. 2 blocks from Cleveland Middle School. 5 Lane road to be constructed within 5 years.

Listing company: Coldwell Banker Commercial

Pricing: Contact for Pricing

Availability: Now

Listing ID: 1064357


Save and Continue Browsing

Sale Price: $0

Size: 87,120 square feet

Type: Land

Learn More:

Company Name
Name of your company
Describe your location and space requirements
Enter additional requirements that you may have
Processing ...

We respect your privacy.

Get access to listing contacts with a Pro Account