1,000 Square Foot Retail Space For Lease @ 149 Riverwalk Blvd - 149 Riverwalk Blvd
149 Riverwalk Blvd, Ridgeland, SC 29936
To view listing contacts please sign in with your Pro account or create a pro account.
Vonnie M.
Company: requires Pro account
Email: requires Pro account
Phone: requires Pro account
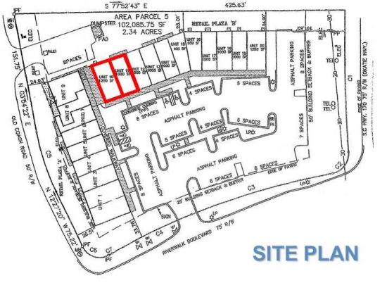
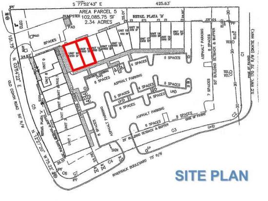
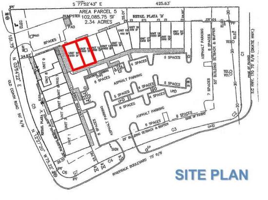
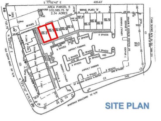
Retail unit in Riverwalk Commons. 1,000 sf - several small offices - can be modified to accommodate any retail / office use.
One retail unit available at the entrance to Riverwalk Business Park located on Highway 170 containing approximately 1,000 sf. There is a great mix of co-tenants at the park, including Livinggood's, a couple restaurants including the very busy Lunch Lady, medical providers, State Farm Insurance, a micro-brewery, Riverwalk Animal Hospital, Palmetto Animal League, a couple of hair salons, a variety of home improvement businesses, a pharmacy, nail salon, drycleaner and many others. There is abundant common parking and multiple access points via Riverwalk Boulevard, Highway 170 (Robert Smalls Parkway) and Browns Cove Road/Schinger Avenue. With GC zoning, this is an excellent opportunity for a variety of retail or professional uses.
Lease Info:
■ Min divisible: 1,000 SF
■ Max contiguous: 1,000 SF
Location Description:
Riverwalk Commons is located directly on Highway 170 with approximately 200' of frontage and high traffic counts. It is less than 2 miles from the major Highway 278 interchange, where the 268-acre commercial development, Okatie Center, is planned with a Wendy's, Zaxby's, Advance Auto, Cracker Barrel, Firestone and Ethan Allen already in place. Also nearby are Sun City Hilton Head (with 14,000 residents, age 50+) and two colleges (University of South Carolina/Bluffton and the Technical College of the Lowcountry). This is a high-traffic and high-growth area and centrally located near Beaufort, Bluffton, Hilton Head Island and Savannah.
Pricing: $0.83/sqft
Availability: Now
Listing ID: 481517
Rate: $10 per sqft per year
Size: 1,000 square feet
Type: Retail Space
Learn More:





























































































