Land Available For Sale @ 0000 Airway Rd
0000 Airway Rd, Lebanon, OR 97355
To view listing contacts please sign in with your Pro account or create a pro account.
George G.
Company: requires Pro account
Email: requires Pro account
Phone: requires Pro account
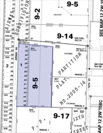
The property is a 10 acre site in Lebanon, Oregon across the street from the Lebanon Airport.
Sales Info:
■ Commision split: 3.0%
Location Description:
Property just East of the Lebanon Airport across Airway Rd. 10 Acres of vacant Industrial zone ground.
Highlights:
■ Great development site
■ Great access to Hwy 34 and then 10 mins. to I-5
■ Water and sewer available on both the west and north side of property line
■ Land is very close to flat
Pricing: $270,000
Availability: Now
Listing ID: 706569



