Land Available For Sale @ 852 Route 3a

852 Route 3A, Bow, NH 03304

To view listing contacts please sign in with your Pro account or create a pro account.

David A G.

Company: requires Pro account

Email: requires Pro account

Phone: requires Pro account



Choose nearby businesses to show on the map:

Yelp

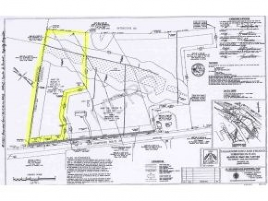
This is a fully approved site for automotive with 200' of frontage with a curb cut along Route 3-A. Approvals are in place with a parking site plan along with a proposed structure that can be built 80X42. This site has great visibility from both Interstate 93 and Route 3A.

Listing company: KW Commercial

Pricing: Contact for Pricing

Availability: Now

Listing ID: 1042068


Save and Continue Browsing

Sale Price: $0

Size: 151,153 square feet

Type: Land

Learn More:

Company Name
Name of your company
Describe your location and space requirements
Enter additional requirements that you may have
Processing ...

We respect your privacy.

Get access to listing contacts with a Pro Account