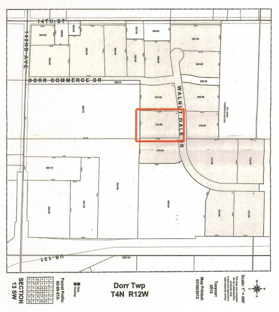
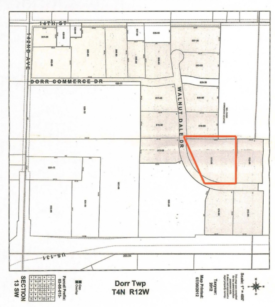
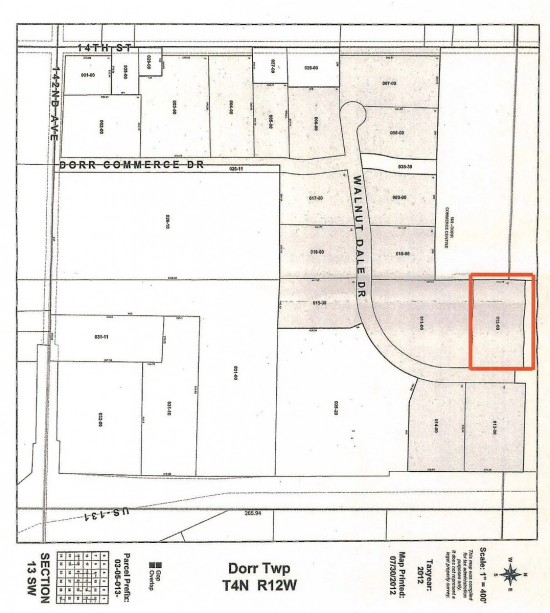
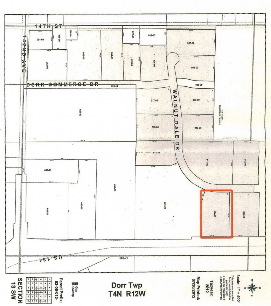
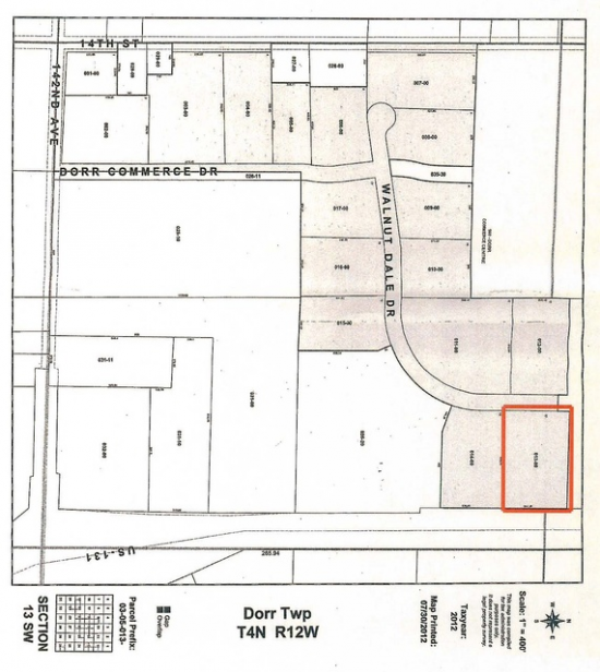
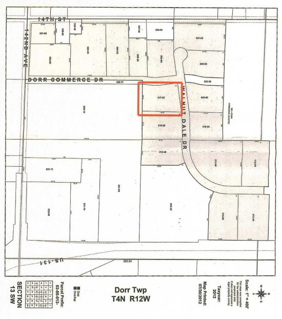
Land Available For Sale @ 0-10 Walnut Dale Drive
0-10 Walnut Dale Drive, Wayland, MI 49348
To view listing contacts please sign in with your Pro account or create a pro account.
Walter B.
Company: requires Pro account
Email: requires Pro account
Phone: requires Pro account
2.54 acres located in the new Dorr Commerce Centre, just north of 142nd Ave on the West side of US-131. Parcel #10 has indirect frontage along US 131, which provides for great visibility.
TERMS: Cash, Conventional Commercial Mortgage
SIGNAGE: Building,Monument
INDIV ELECTRIC METER: Yes.
INDIV GAS METER: Yes.
Listing company: Fusion Properties LLC
Pricing: Contact for Pricing
Availability: Now
Listing ID: 577936






