Land Available For Sale @ 23800 Schoenherr Road
23800 Schoenherr Road, Warren, MI 48089
To view listing contacts please sign in with your Pro account or create a pro account.
John A.
Company: requires Pro account
Email: requires Pro account
Phone: requires Pro account
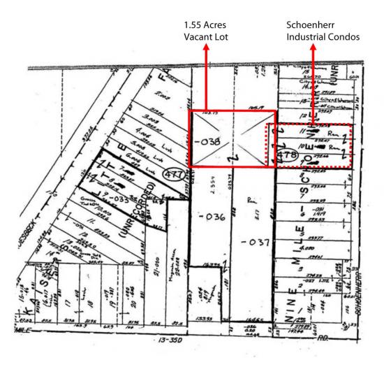
All utilities and storm drains have been brought to the site. Approximately 1.55 acres subject to survey. Deeded access easement through the Schoenherr Industrial Condos to Schoenherr Road. Secluded industrial site ideal for outside storage or contractor's yard/building. Site plan approved for 18,000 sq. ft. industrial multi-tenant with 1,600 sq. ft. units. All plans are included.
Location Description:
x
Highlights:
■ 1.55 acre secluded industrial site
■ Ideal for outside storage or contractor's yard/building
■ All utilities & storm drains at the site
■ Site plan approved for approximately 18,000 sq. ft. multi-tenant industrial building with 1,600 sq. ft. units; all plans are included
Pricing: $150,000
Availability: Now
Listing ID: 498057



