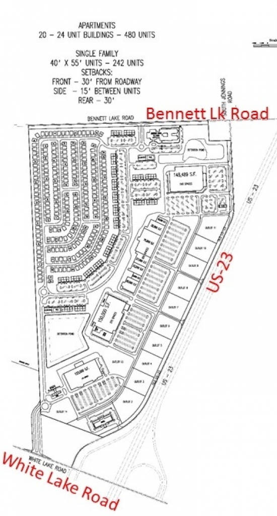
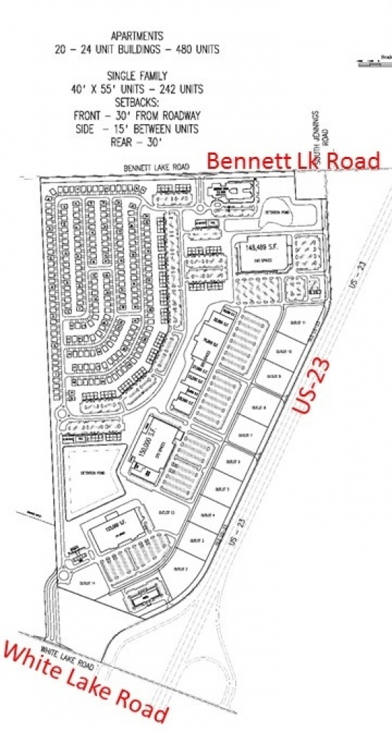
Land Available For Lease @ Nwc Us-23 And White Lake Road

Nwc Us-23 And White Lake Road, Fenton, MI 48430

To view listing contacts please sign in with your Pro account or create a pro account.

Randall S. T.

Company: requires Pro account

Email: requires Pro account

Phone: requires Pro account



Choose nearby businesses to show on the map:

Yelp

NWC White Lake Road and US-23, Tyrone Twp.
+/-208 Acres for lease or sale opportunities in new mixed use development
Over 46,000 vehicles per day travel on US-23 past this site

Listing company: Insite Commercial

Pricing: $0.08/sqft

Availability: Now

Listing ID: 1056664


Save and Continue Browsing

Rate: $1 per sqft per year

Size: 9,060,480 square feet

Type: Land

Learn More:

Company Name
Name of your company
Describe your location and space requirements
Enter additional requirements that you may have
Processing ...

We respect your privacy.

Get access to listing contacts with a Pro Account