Land Available For Lease @ 9200 Ocean Hwy
9200 Ocean Hwy, Delmar, MD 21875
To view listing contacts please sign in with your Pro account or create a pro account.
John M.
Company: requires Pro account
Email: requires Pro account
Phone: requires Pro account
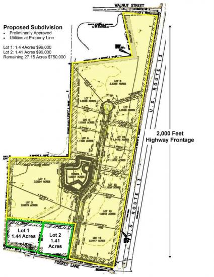
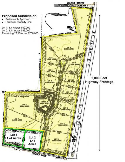
Located at the corner of Foskey Lane & Route 13 in Delmar, MD this site boasts high traffic counts and fantastic exposure along the major north/south corridor of the Eastern Shore. 30 +/- Acres at the corner of Rt 13 and Foskey. Landlord will consider subdividing. Ideal site for development. Property is zoned C-2 General Commercial allowing for a myriad of uses. This space offers accomodations for: retail.
Pricing: Negotiable
Availability: Now
Listing ID: 773551











