Land Available For Sale @ Hwy 15

Hwy 15, Winnsboro, LA 71295

To view listing contacts please sign in with your Pro account or create a pro account.

Gary R.

Company: requires Pro account

Email: requires Pro account

Phone: requires Pro account



Choose nearby businesses to show on the map:

Yelp

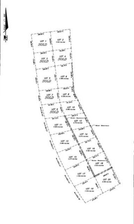
Commercial Property. The largest single tract of development property in Winnsboro.
12.19 acres +/- , over 1500' frontage on Hwy 15 & 1540' on Fair Ave. Individual lots with 150FF x 200'-230'in depth.
$3.50- $6.00 Per SF depending on location of lot.

Listing company: Cotton Country Realty

Pricing: Contact for Pricing

Availability: Now

Listing ID: 175872


Save and Continue Browsing

Sale Price: $0

Size: 491,356 square feet

Type: Land

Learn More:

Company Name
Name of your company
Describe your location and space requirements
Enter additional requirements that you may have
Processing ...

We respect your privacy.

Get access to listing contacts with a Pro Account