Land Available For Sale @ Delta Downs Drive
Delta Downs Drive, Vinton, LA 70668
To view listing contacts please sign in with your Pro account or create a pro account.
Mary Kay H.
Company: requires Pro account
Email: requires Pro account
Phone: requires Pro account
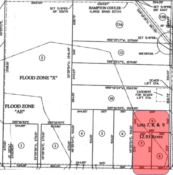
Exceptional offering within minutes of Delta Downs Racetrack in Vinton.
Just 2 minutes North of I-10, this 109 acres can be purchased as listed here or in smaller parcels as illustrated on the Google map.
With the exception of Lots 7 and 8, the property has been deed restricted for residential use. No mobile homes, RV parks, or apartments are permitted. Subject to the seller's approval, Lots 7 and 8 may be used for commercial purposes.
Ideal for horse lovers or those who simply want to enjoy country life along with a hassle free drive to work on the West side of Lake Charles. Of course, the same convenience is afforded to those who work in the Golden Triangle and want to take advantage of Louisiana's lower property taxes.
To see a large copy of the survey, call for an appointment.
Pricing: Contact for Pricing
Availability: Now
Listing ID: 1044119


