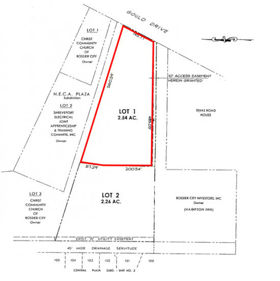
Land Available For Sale @ 1007 Gould Dr

1007 Gould Dr, Bossier City, LA 71111

To view listing contacts please sign in with your Pro account or create a pro account.

Tina R B.

Company: requires Pro account

Email: requires Pro account

Phone: requires Pro account



Choose nearby businesses to show on the map:

Yelp

Development opportunity -- located on the service road to Interstate 20 surrounded by Marriott Towne Place Suites, Hampton Inn, Texas Roadhouse and numerous other restaurants and hotels. Located directly west of a large regional mall. Excellent visibility with great signage potential.

Listing company: Realty Executives SB

Pricing: Contact for Pricing

Availability: Now

Listing ID: 156545


Save and Continue Browsing

Sale Price: $0

Size: 110,642 square feet

Type: Land

Learn More:

Company Name
Name of your company
Describe your location and space requirements
Enter additional requirements that you may have
Processing ...

We respect your privacy.

Get access to listing contacts with a Pro Account