Land Available For Sale @ 1.0 To 6.82 Acres Barksdale Blvd. (hwy. 71)

1.0 to 6.82 acres Barksdale Blvd. (Hwy. 71), Bossier City, LA 71112

To view listing contacts please sign in with your Pro account or create a pro account.

Stephen C H.

Company: requires Pro account

Email: requires Pro account

Phone: requires Pro account



Choose nearby businesses to show on the map:

Yelp

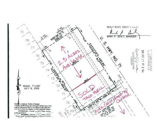
Excellent Location for businesses needing high exposure. Heavily travelled Barksdale Blvd., with traffic count of 27,000 cpd at adjacent intersection. 890' Rd. Frontage. Ideal for Retail or any business.
City Water and Sewer Available to the site.

Listing company: The Lucky Company, Inc

Pricing: Contact for Pricing

Availability: Now

Listing ID: 140422


« Back to Results
« Prev  | 1 of 2 |  Next »

Save and Continue Browsing

Sale Price: $0

Size: 217,800 square feet

Type: Land

Learn More:

Company Name
Name of your company
Describe your location and space requirements
Enter additional requirements that you may have
Processing ...

We respect your privacy.

Get access to listing contacts with a Pro Account