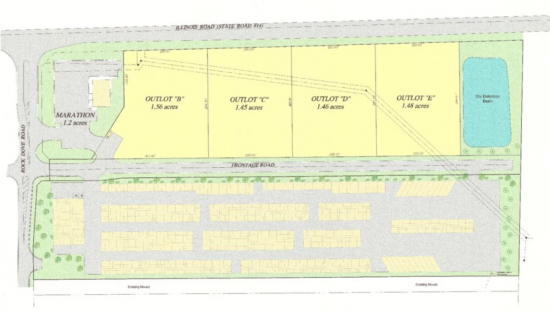
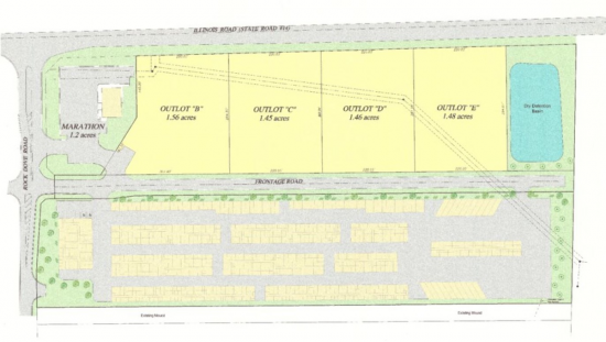
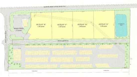
Land Available For Sale @ 14301 Illinois Rd
14301 Illinois Rd, Fort Wayne, IN 46814
To view listing contacts please sign in with your Pro account or create a pro account.
Kienan O.
Company: requires Pro account
Email: requires Pro account
Phone: requires Pro account
Lot B 1.56 Acres (67,953 SF) $373,745
Lot C 1.45 Acres (63,162 SF) $347,391
Lot D 1.46 Acres (63,597 SF) $349,783
Lot E 1.41 Acres (61,420 SF) $337,808
* Utilities on site
* Established businesses on site; many lots already sold
* Lot divisible to 1.4 acres
* Zoned C2 - Retail
Sale Price: $0
Size: 257,004 square feet (is divisible)
Type: Land
Learn More:


