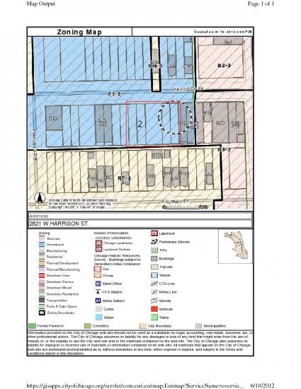
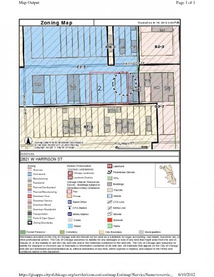
Land Available For Sale @ 2821 W Harrison St
2821 W Harrison St, Chicago, IL 60612
To view listing contacts please sign in with your Pro account or create a pro account.
Robert T.
Company: requires Pro account
Email: requires Pro account
Phone: requires Pro account
The property is approximately 28,012.5 SF. It is partially paved for vehicle parking otherwise it is unimproved. A Phase I was completed in 2012. The property is within the Midwest TIF and Enterprise Zone 1.
Location Description:
Located in the southwest quadrant of California & the Eisenhower Expressway on the south side of Harrison between California (2800 West) & Francisco Avenue (2900 West).
Highlights:
■ Adjacent to the California Commercial District
■ The property is within the Midwest TIF District, qualified costs include land assembly and new construction low income housing
Pricing: $278,000
Availability: Now
Listing ID: 289838
Sale Price: $278,000
Size: 100,000,000 square feet
Type: Land
Learn More:



