Land Available For Sale @ 2185 State St, N

2185 STATE ST, N, Belvidere, IL 61008

To view listing contacts please sign in with your Pro account or create a pro account.

Shane Van S.

Company: requires Pro account

Email: requires Pro account

Phone: requires Pro account



Choose nearby businesses to show on the map:

Yelp

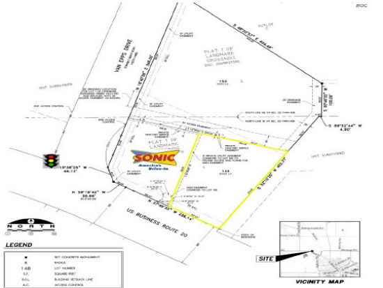
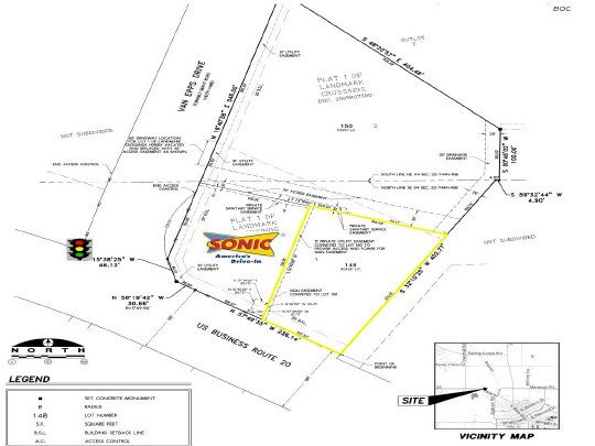
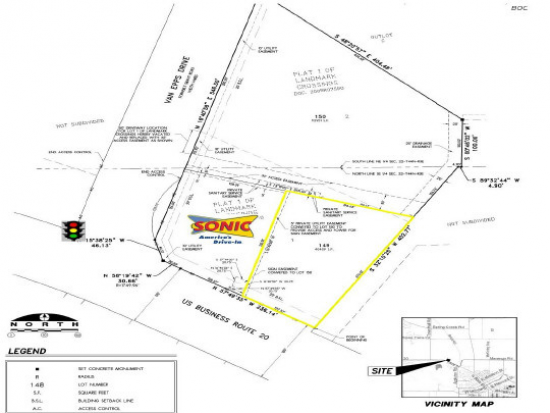
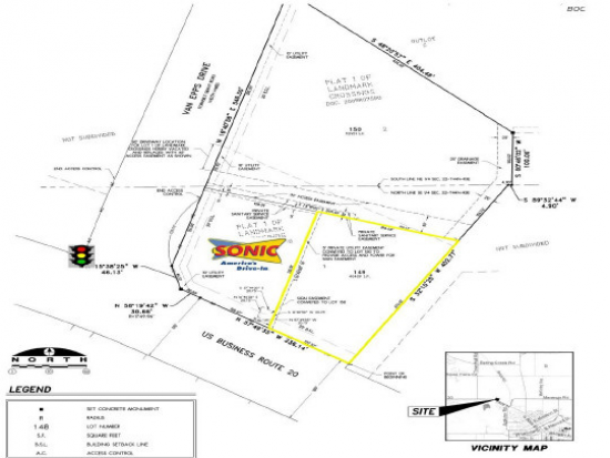
0.928 AC, FULLY DEVELOPED LOT WITH OVER127' OF STATE ST FRONTAGE. ACCESS VIA FULLY SIGNALED INTERSECTION OF STATEAND VAN EPPS. NEAR 3 NEW SCHOOLS. IDEAL FOR RESTAURANT, RETAIL, BANK,CONVENIENCE, GAS. BROKER INTEREST.

Listing company: LANDMARK REAL ESTATE GROUP LLC

Pricing: Contact for Pricing

Availability: Now

Listing ID: 352645


Save and Continue Browsing

Sale Price: $0

Size: 40,408 square feet

Type: Land

Learn More:

Company Name
Name of your company
Describe your location and space requirements
Enter additional requirements that you may have
Processing ...

We respect your privacy.

Get access to listing contacts with a Pro Account