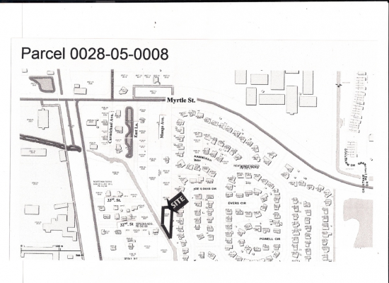
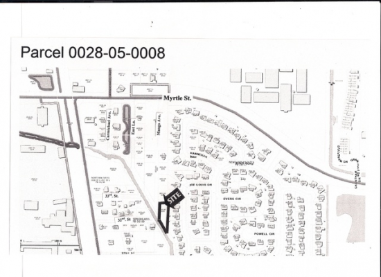
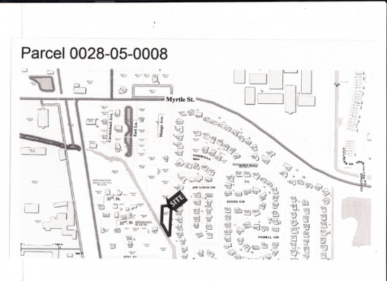
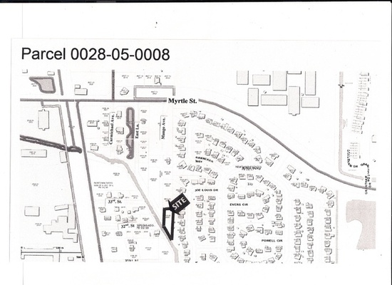
Land Available For Sale @ 548 Mango Ave
548 Mango Ave, Sarasota, FL 34237
To view listing contacts please sign in with your Pro account or create a pro account.
Larry S.
Company: requires Pro account
Email: requires Pro account
Phone: requires Pro account
Great location being near the downtown area and free standing on the corner is a plus. Current Tenant has been there +/- two years and is currently on a month to month. He may stay or you may want to use this for your own business or storage.
There are two overhead doors, a fenced enclosure, office space and a loft. The warehouses in this neighborhood have been experiencing a remodel. This is your chance to get in early as Sarasota is growing quickly and more and more services are required...services that need a warehouse facility.
Listing company: Michael Saunders & Company
Pricing: Contact for Pricing
Availability: Now
Listing ID: 523557



