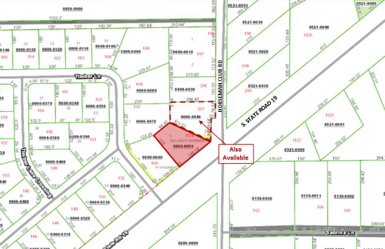
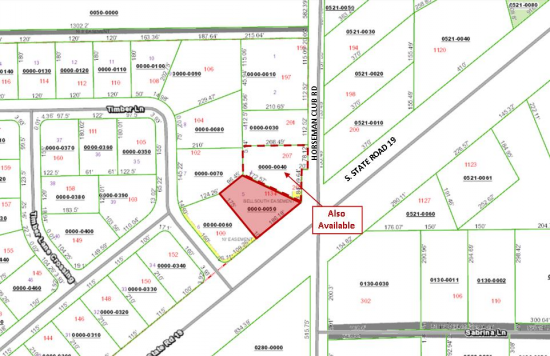
Land Available For Sale @ 1134 S State Road 19
1134 S State Road 19, Palatka, FL 32177
To view listing contacts please sign in with your Pro account or create a pro account.
Ben B.
Company: requires Pro account
Email: requires Pro account
Phone: requires Pro account
Acreage! 7.88 +/- wooded acres on State Rd 19 with 1,206 +/- ft of road frontage, just south of Walmart. Urban reserve gives great opportunity for future land use. Rear boundary gives access on 124 ft frontage on paved Davis Lake Rd. Zoned AG. Located across from Point of Woods S/D. Convenient to hospital, shopping & schools. Because of its proximity to Walmart & frontage on busy State Rd 19, this property has potential for many diverse investors.









