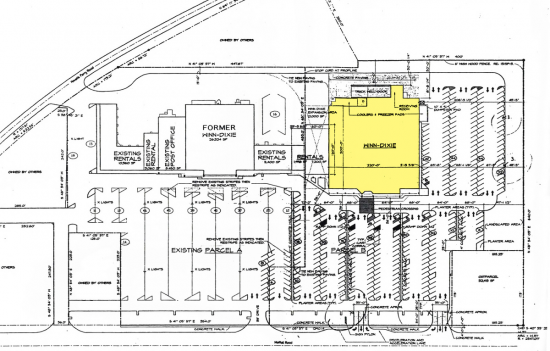
25,600 Square Foot Retail Space For Lease @ 5568 Moffett Rd - 1

5568 Moffett Rd, Mobile, AL 36618

To view listing contacts please sign in with your Pro account or create a pro account.

Amber H.

Company: requires Pro account

Email: requires Pro account

Phone: requires Pro account



Choose nearby businesses to show on the map:

Yelp

Listing company: Vallas Realty, Inc.

Pricing: $0.50/sqft

Availability: Now

Listing ID: 1061812


Save and Continue Browsing

Rate: $6 per sqft per year

Size: 25,600 square feet

Type: Retail Space

Learn More:

Company Name
Name of your company
Describe your location and space requirements
Enter additional requirements that you may have
Processing ...

We respect your privacy.

Get access to listing contacts with a Pro Account