Land Available For Sale @ County Road 32
County Road 32, Fairhope, AL 36532
To view listing contacts please sign in with your Pro account or create a pro account.
Jeff B.
Company: requires Pro account
Email: requires Pro account
Phone: requires Pro account
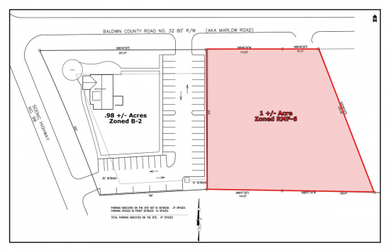
1 acre of land available in historic Point Clear, Alabama. The property is located approximately 1.5 miles from Marriott's Grand Hotel, just East of the CR 32 / Scenic Hwy 98 intersection. Zoned RMF-6, up to 6 residential units are permitted. The property is directly adjacent to a commercially zoned parcel that is also available for sale. Combined the 2 +/- acre site could be be developed as a mixed-use concept.
The property is located near public access to Mobile Bay. Site layouts are available upon request.
Listing company: Stirling Properties Mobile
Pricing: Contact for Pricing
Availability: Now
Listing ID: 1057329
