2,892 Square Foot Retail Space For Sale @ 932 E. Main St.
932 E. Main St., Boonville, IN 47601
To view listing contacts please sign in with your Pro account or create a pro account.
Steve M.
Company: requires Pro account
Email: requires Pro account
Phone: requires Pro account
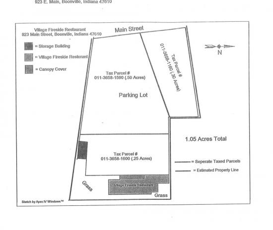
Auction will be Monday, April 8th at 6:00 PM, the walk-through will be Sunday, March 10th from 3 to 5 PM. The 2,892sf building, 1.05 acre of land, business with all furniture, fixtures & equipment, and beer & wine license are all included in the sale price. When you own the Village Fireside you own "a piece of Boonville history." All assets are being sold free and clear, and are currently in working order; however, are sold where is, as is. The dishwasher is leased for $80/mo. and the coffee machine and Pepsi drink dispenser are furnished by the product vendors. The roof was replaced in July 2011 and new carpet installed February 2012.
Sales Info:
■ Commision split: 25.0%
Location Description:
The subject restaurant property is located on Main Street (Hwy. 62) east in Boonville, IN. Boonville is the County Seat of Warrick County. The 2011 county population was 60,275 people. Boonville is home to over 7,000 people. This restaurant was the 1st in the city of Boonville that is still in operation.
Pricing: $190,000
Availability: Now
Listing ID: 386677
Sale Price: $190,000
Size: 2,892 square feet
Type: Retail Space
Learn More:








